Terrain à bâtir - à vendre - 70 000 €
5540 HASTIERE

Description

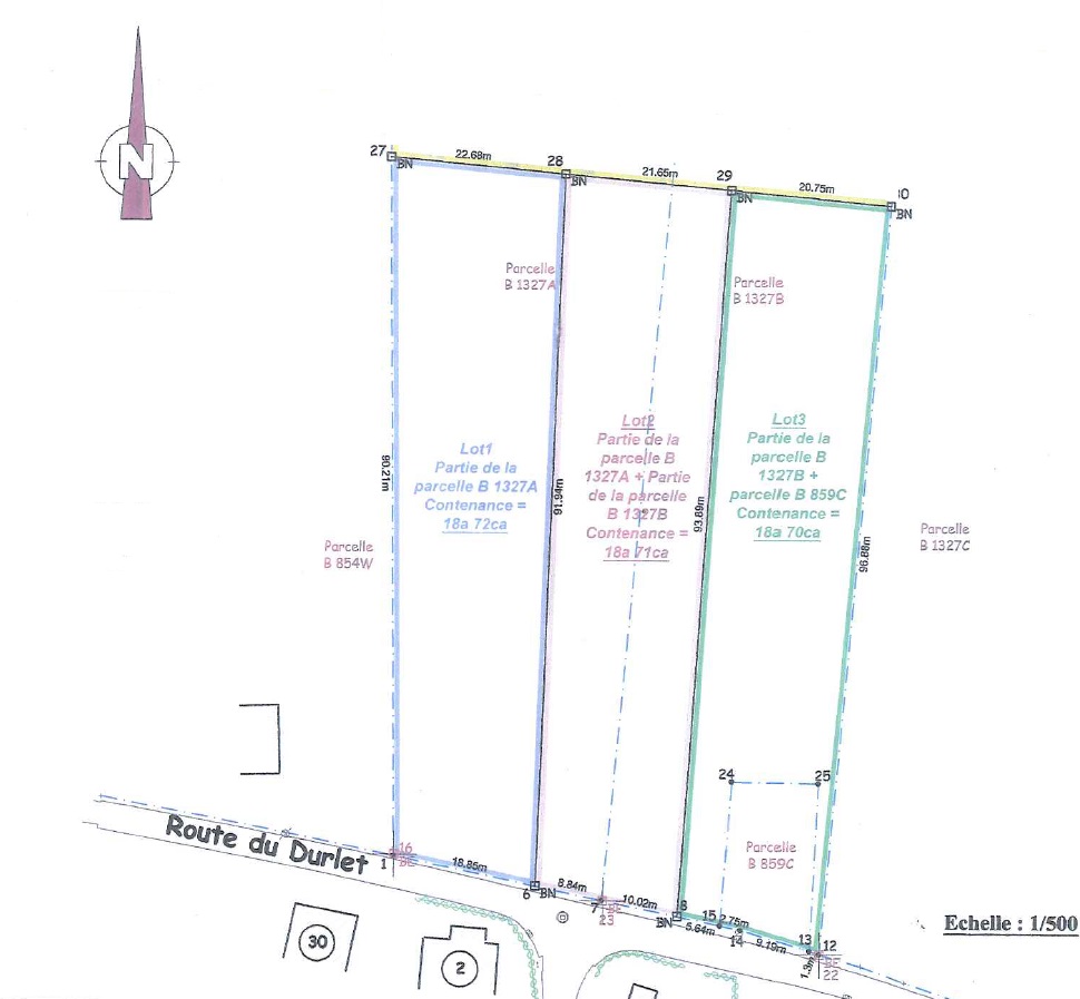
Nous vous proposons 2 terrains à bâtir de 18 ares offrant une jolie vue dégagée !
Ceux-ci sont idéalement sis au calme dans le hameau d’Inzemont.
Chaque terrain dispose d’une largeur à front de voirie 18,85m.
Tous les raccordements sont disponibles à proximité.

PRIX DEMANDE : 70.000€ (Lot 2 – Lot 3)

Général

Référence 6107824
Catégorie Terrain à bâtir
Surface du terrain 1872 m²
Disponibilité à l'acte

À proximité

Magasins Oui
Ecoles Oui
Transports en commun Oui
Gare Oui

Spécificités terrain

Risque d'inondation 2023 (type innondation) Classe A (aucune chance)

Documents

Prendre contact pour le bien : 6107824
* Champs obligatoires

En envoyant ma demande de contact, je déclare accepter que mes données complétées dans ce formulaire soient utilisées pour les buts mentionnés ci-dessus par BaxImmo ; et ce, en accord avec la charte de protection de la vie privée du site. Je peux à tout moment retirer mon consentement en introduisant une demande écrite à l’adresse info@baximmo.be.

Préférences pour les cookies

La protection de vos données personnelles est importante pour nous. C’est pourquoi nous détaillons ci-dessous les différents services et fonctionnalités du site qui utilisent des cookies et nous vous laissons décider des cookies que vous souhaitez autoriser ou refuser.

Veuillez cependant noter que si vous bloquez certains types de cookies, cela pourrait impacter votre expérience de navigation sur notre site ainsi que les fonctionnalités disponibles.

Nous utilisons des cookies fonctionnels obligatoires pour assurer le bon fonctionnement du site. Ils sont, par exemple, nécessaires pour retrouver le résultat d’une recherche ou enregistrer le choix de la langue.

Certaines fonctionnalités, comme l’affichage de vidéos ou de cartes géographiques, sont assurées via des composants externes développés par des partenaires comme YouTube ou Google. Certains composants utilisent des cookies qui sont susceptibles de permettre à ces tiers de suivre le comportement des internautes afin, par exemple, de réaliser du ciblage publicitaire. L’activation de ces fonctionnalités et des cookies associés est donc soumis à votre consentement.